Monde
Votre publicité ici ? Contactez-nous !
Rencontre Zelensky-Poutine: Macron plaide pour Genève
La rencontre entre Volodymyr Zelensky et Vladimir Poutine devrait avoir lieu en Europe, a indiqué le président français Emmanuel Macron. Il plaide pour qu'elle se tienne à Genève.

Gamescom 2025 ouvre ses portes en Allemagne
Le jeu de tir "Call of Duty: Black Ops 7" et la suite de la saga japonaise Resident Evil donnent mardi le coup d'envoi en Allemagne de la Gamescom, l'un des plus grands salons du jeu vidéo, lors d'une soirée d'ouverture en forme de mise en bouche.

Kim appelle à l'"expansion rapide" du nucléaire nord-coréen
Le dirigeant nord-coréen Kim Jong-un a appelé à l'"expansion rapide" des capacités nucléaires de son pays face aux manoeuvres militaires conjointes entre les Etats-Unis et la Corée du Sud. Ils veulent "déclencher une guerre", a-t-il affirmé.

La "reine de la kétamine" va plaider coupable aux Etats-Unis
La femme soupçonnée d'avoir vendu la kétamine ayant tué la vedette de la série télévisée "Friends", Matthew Perry, va plaider coupable, a annoncé lundi le ministère américain de la justice. Elle est connue à Hollywood comme la "reine de la kétamine".

Sommet Poutine-Zelensky en vue après une réunion à Washington
"Cette guerre va se terminer", a dit Donald Trump lundi en recevant Volodymyr Zelensky et plusieurs dirigeants européens, qui ont affiché leur volonté de travailler ensemble à la paix et à la sécurité future de l'Ukraine.

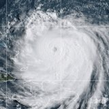
L'ouragan Erin progresse dans les Caraïbes
Le puissant ouragan Erin continuait lundi sa progression près des Bahamas, accompagné de rafales de vent puissantes et de pluies intenses. La menace de vagues destructrices sur les côtes américaines grandit.

Les élus démocrates du Texas lèvent leur exil auto-imposé
Les élus américains démocrates au Parlement du Texas ont annoncé lundi mettre fin à deux semaines d'un exil auto-imposé. Cette décision ouvre la voie à l'adoption d'une nouvelle carte électorale voulue pour accroître la majorité républicaine à Washington.

Trump reçoit aimablement Zelensky et exprime son optimisme
"Cette guerre va se terminer": Donald Trump a exprimé lundi un certain optimisme sur la possibilité d'arriver à la paix en Ukraine, en recevant aimablement Volodymyr Zelensky.

Zelensky accueilli par Trump à la Maison Blanche
Le président Volodimir Zelensky a été accueilli par Donald Trump à son arrivée à la Maison Blanche. Il a remercié le président américain pour ses efforts pour mettre fin à la guerre en Ukraine.

Les dirigeants européens commencent à arriver à la Maison Blanche
Le chef de l'Otan Mark Rutte, la présidente de la Commission européenne Ursula von der Leyen et le Premier ministre britannique Keir Starmer ont été les premiers à arriver lundi à la Maison Blanche, où ils ont été reçus par la cheffe du protocole Monica Crawley.
