L'ouragan Erin progresse dans les Caraïbes
Le puissant ouragan Erin continuait lundi sa progression près des Bahamas, accompagné de rafales de vent puissantes et de pluies intenses. La menace de vagues destructrices sur les côtes américaines grandit.

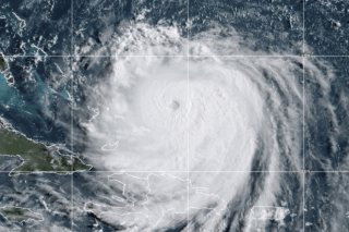
Désormais classé comme ouragan de catégorie 4 sur l'échelle de Saffir-Simpson, qui en compte cinq, Erin évolue dans la région des Caraïbes avec des vents allant jusqu'à 220 km/h, selon le centre américain des ouragans (NHC).
De fortes averses localisées liées à son passage étaient attendues lundi à travers les Bahamas, les îles Turques-et-Caïques ainsi qu'à Haïti et en République dominicaine, avec un risque d'inondations.
Après avoir frôlé les Bahamas, il doit opérer mardi un virage vers le nord pour ensuite passer entre la côte est des Etats-Unis et les Bermudes en milieu de semaine. Bien qu'il ne soit pas prévu qu'il touche terre, les services météorologiques ont exhorté lundi après-midi la population américaine à ne pas prendre à la légère cet ouragan.
Des vagues de six mètres
"Beaucoup d'entre vous pensent peut-être que la trajectoire d'Erin au large n'aura que peu ou pas d'impact au cours des prochains jours sur la côte est des États-Unis. Rien ne pourrait être plus faux", a ainsi alerté Jamie Rhome, directeur adjoint du NHC, dans une vidéo diffusée sur les réseaux sociaux.
Des courants dangereux ainsi que des vagues puissantes allant jusqu'à six mètres de hauteur sont attendus, faisant courir le risque d'inondations côtières, notamment sur un chapelet d'îles bordant la Caroline du Nord. En prévision, certaines zones ont été soumises à des ordres d'évacuation.
L'ouragan Erin s'était rapproché au cours du week-end du nord des Petites Antilles et de Porto Rico, provoquant des dégâts matériels. Dans ce territoire américain dévasté en 2017 par l'ouragan Maria, des maisons et routes ont été submergées par les eaux.
Les vents puissants ont également couché des arbres sur la chaussée, et 150'000 ménages avaient été privés de courant dimanche. D'autres coupures sont survenues lundi, a indiqué la compagnie d'électricité locale Luma, tout en assurant que le service avait été rétabli pour plus de 90% de ses clients.
Premier ouragan de la saison en Atlantique nord, Erin s'est très rapidement renforcé, atteignant en un peu plus de 24 heures le niveau maximal d'intensité.
Malgré des débuts calmes, la saison des ouragans, qui s'étire de début juin à fin novembre, devrait cette année être plus intense que la normale, selon les prévisions des autorités météorologiques américaines.